
Sperimentazione “temporanea” che non mancherà di causare disagi al traffico cittadino ma che, forse, permetterà all’amministrazione di capire come intervenire sul quadrante più complesso della …
Sperimentazione “temporanea” che non mancherà di causare disagi al traffico cittadino ma che, forse, permetterà all’amministrazione di capire come intervenire sul quadrante più complesso della …
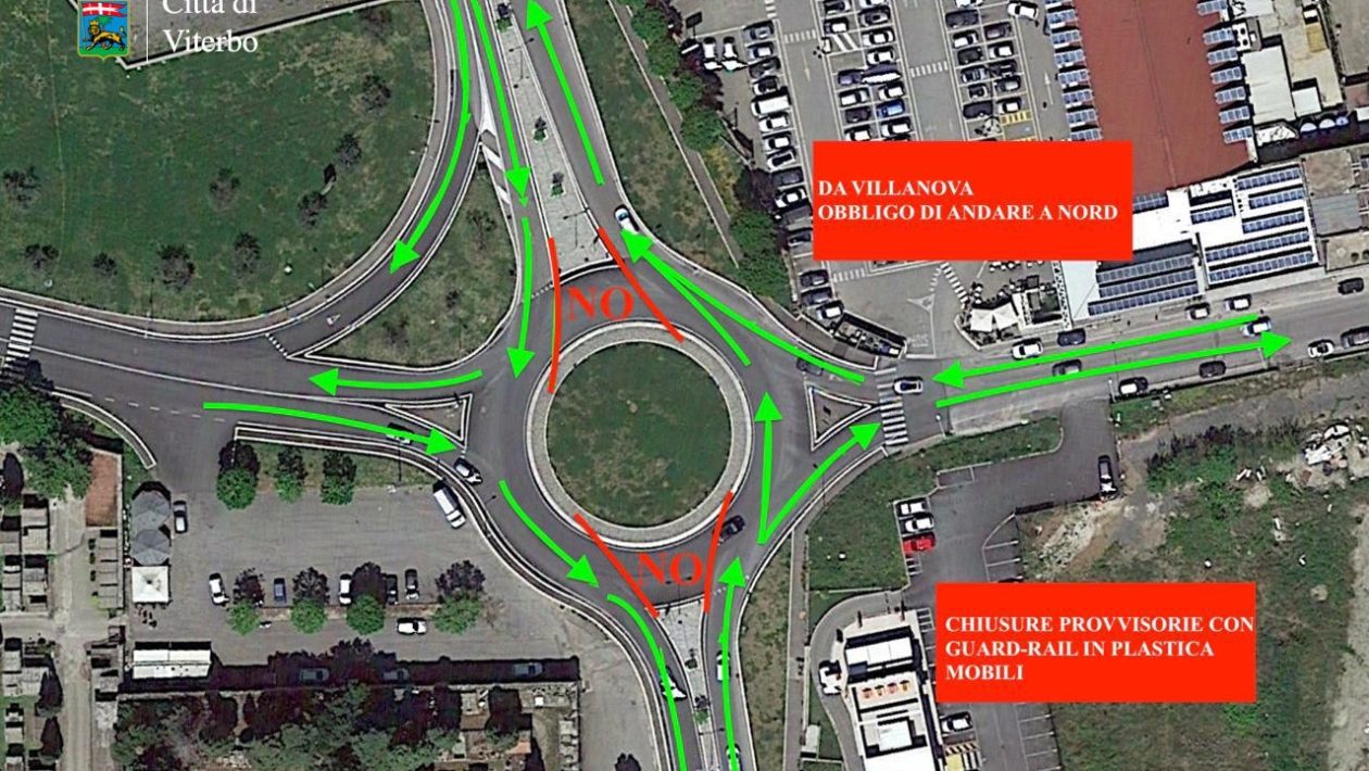
“Fare e disfare è pur sempre lavorare”: ancora una volta, i cittadini ci scherzano su per sdrammatizzare VITERBO – Doveroso ripensamento da parte di chi …
La finanza è intervenuta nella città del litorale viterbese sequestrando le disponibilità finanziarie della società TARQUINIA – I finanzieri della dipendente Compagnia di Tarquinia nei …
Prende ufficialmente via l’era del questore Luigi Silipo, che succede a Fausto Vinci, trasferito a Latina VITERBO – Alla sua seconda esperienza, dopo il grande …
CANINO – Come un ritmo ormai scandito i militari della Compagnia Carabinieri di Tuscania concludono una nuova operazione finalizzata al contrasto dello spaccio di stupefacenti. …
VITERBO – Nella giornata di ieri il Generale di Divisione Andrea Taurelli Salimbeni, Comandante della Legione Carabinieri Lazio, ha effettuato la visita del Comando Provinciale …
I tempi di attuazione sono ancora incerti, ma la soluzione è stata confermata e sarà messa in atto “nel più breve tempo possibile” VITERBO – …
CIVITAVECCHIA (RM) – I Carabinieri della Sezione Radiomobile della Compagnia di Civitavecchia hanno dato esecuzione a un’ordinanza che dispone misure cautelari, emessa dal Tribunale – …
VITERBO – Cambio di vertice questa mattina alla Questura di Viterbo dove il Dirigente Superiore della Polizia di Stato Dr. Luigi Silipo è il nuovo …
Lo spettro di nuove trivellazioni preoccupa imprenditori e cittadini adiacenti al lago di Vico e la politica prova a sollevare gli scudi TUSCIA – Si …
L’ex difensore della Juventus, Pianoscaranese DOC, non esclude un ritorno come allenatori tra le fila della Serie A italiana VITERBO – Carriera giunta al termine …
VASANELLO – Oggi, dopo quasi 9 anni, il Comandante della Stazione, Lgt Fortunato Scoscina, sta per lasciare il suo incarico presso il Comando di Vasanello …
Tra Porta Romana e Porta della Verità via alberi e prato “per preservare le mura”. A piazzale Gramsci invece tornano per “valorizzare la nostra storia …
VITERBO – Ancora un episodio di degrado nel capoluogo della Tuscia, stavolta in bella mostra nei pressi di Porta della Verità dove alcune persone hanno …
ALLUMIERE – Non ce l’ha fatta, dopo 10 giorni di coma, il giovane Simone Torroni di Allumiere, da un anno assunto come operaio al teatro …
VITERBO – Nella mattinata di ieri personale della Polizia di Stato dell’Ufficio Prevenzione Generale e Soccorso Pubblico della Questura di Viterbo, a seguito di articolata …
Sul posto l’immediato arrivo dell’elisoccorso ma le condizioni del pedone sono da subito apparse critiche
A quanto pare, sul lungolago montefiasconese le carpe di pescano “Fischiando”
Il giovane lo ha dichiarato ai carabinieri ORIOLO ROMANO – Vicenda assurda ma “a lieto fine” per un giovane evaso per la seconda volta dai …
BAGNOREGIO – A Bagnoregio i Carabinieri del Nucleo Radiomobile della Compagnia di Montefiascone nel corso dei controlli ordinari svolti nella rinomata cittadina turistica del viterbese …
VITERBO – Riceviamo e pubblichiamo. La città di Viterbo rappresenta nell’iconografia collettiva la Patria dei Sottufficiali dell’Esercito Italiano ed il centro nevralgico in cui da …
TARQUINIA – L’aeroporto Amerigo Sostegni fu inaugurato il 27 marzo del 1938. Negli anni successivi, a partire dal 1940, ospitò la prima scuola di paracadutismo …
Ennesimo episodio di violenza di genere nella Tuscia, stavolta proprio nel capoluogo VITERBO – Il Questore di Viterbo, a seguito di una minuziosa istruttoria curata …
Nella mattinata di ieri, primo cittadino Alessandro Giulivi ha aperto le danze per i nuovi servi dislocati al cittadino TARQUINIA – Inaugurata la sete distaccata …
Anche Viterbo figura tra i candidati a ricevere l’importante premio nazionale ideato dall’Associazione Culturale Italia Medievale
Per l’ex primo cittadino si tratterebbe di una mossa per giungere alla definitiva chiusura di quel che rimane dell’ospedale di Montefiascone MONTEFIASCONE – L’ex sindaco …
Avveniristico progetto per il parcheggio che sorgerà in località “Il piano”, immancabili i complimenti di molti cittadini che da tempo attendevano la lieta novella
VITERBO – Appuntamento all’Hotel Salus Terme, domani 25 maggio alle 17.30 con il deputato del Partito Democratico Nicola Zingaretti, ex governatore della Regione Lazio. All’incontro, …
Maggiore illuminazione e telecamere restano il sogno nel cassetto del questore uscente Fausto Vinci, dal 29 sarà a Latina e da Macerata arriverà Luigi Silipo
Civitavecchia – “Il porto di Civitavecchia è uno dei primi cinque scali al mondo per il crocierismo e detiene il primato assoluto in Italia. I …
Confusione nel consiglio comunale di ieri, dove tra astenuti e contrari la maggioranza frontiniana pare aver approvato un debito fuori bilancio senza nemmeno il numero …
Sequestrato il piazzale e denunciato l’esecutore materiale per reati edilizi ed ambientali
VITERBO – I Carabinieri della Compagnia di Viterbo, ad esito di dedicati accertamenti, hanno deferito in stato di libertà alla competente Autorità Giudiziaria del capoluogo …
Da Bagnaia, il boss turco progettava attentati terroristici su vasta scala raccogliendo armi, soldi e proseliti VITERBO – La polizia di Stato ha messo in …
Dopo 80 giorni di attesa senza risposte, i consiglieri Stefanucci e Filipponi hanno fatto appello al difensore civico VASANELLO – La minoranza torna all’attacco nel …